Aureaform
Aureaform
Recent
Trending
Hot
Random
Home
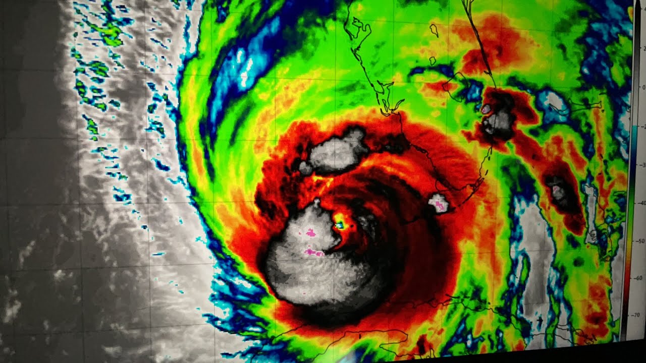
Hurricane Ian update: SW Florida.
Hurricane Ian update: SW Florida.
ZAL
October 05, 2022
Hurricane Ian update: SW Florida.
breaking weather breaking news jeff piotrowski storm chaser tornado video tornadoes hurricane hurricane video Emmy Award Winning Video
Post a Comment
0 Comments
Popular Posts
Great mathematician Ramanujan
December 06, 2022
Douglas Murray: The View is the 'least watchable television program'
March 31, 2022
Come with us to day 1 of the D23 Expo
September 17, 2022
photography techniques
June 21, 2022
Rahul Dravid On How He Took A Different Route To Success | Sakshi TV Sports
August 02, 2022
Make yourself a priority| Prafull Billore | MBA CHAI WALA
April 05, 2022
My Vision Wasn't Good Enough to Be a Fighter Pilot
April 22, 2022
Archive
March 2023
125
February 2023
2246
January 2023
2199
December 2022
1639
November 2022
1202
October 2022
2331
September 2022
2729
August 2022
2765
July 2022
2695
June 2022
3063
May 2022
3130
April 2022
3095
March 2022
772
February 2022
2241
0 Comments